Skip Navigation
 
 

Notice of Intent to Perform Mosquito Fogging Operations for June 12

Published Jun 12, 2019

In an effort to reduce the mosquito population in Escambia County, the Mosquito Control Division has filed a "Notice of Intent" to proceed with fogging missions Wednesday, June 12 in Commission District 4. Mission hours vary, but typically occur in the evening hours from 6-9:30 p.m.

When possible, pre-application and post-application surveillance is performed to ensure fogging is warranted. Methods used to determine need include dry ice-baited light traps, landing rate counts and service requests received from the public.

To make a request for service or an area to be listed as a no spray area, please call 850-937-2188, submit an online request here or send an email to [email protected].

Spray Area 23A Map

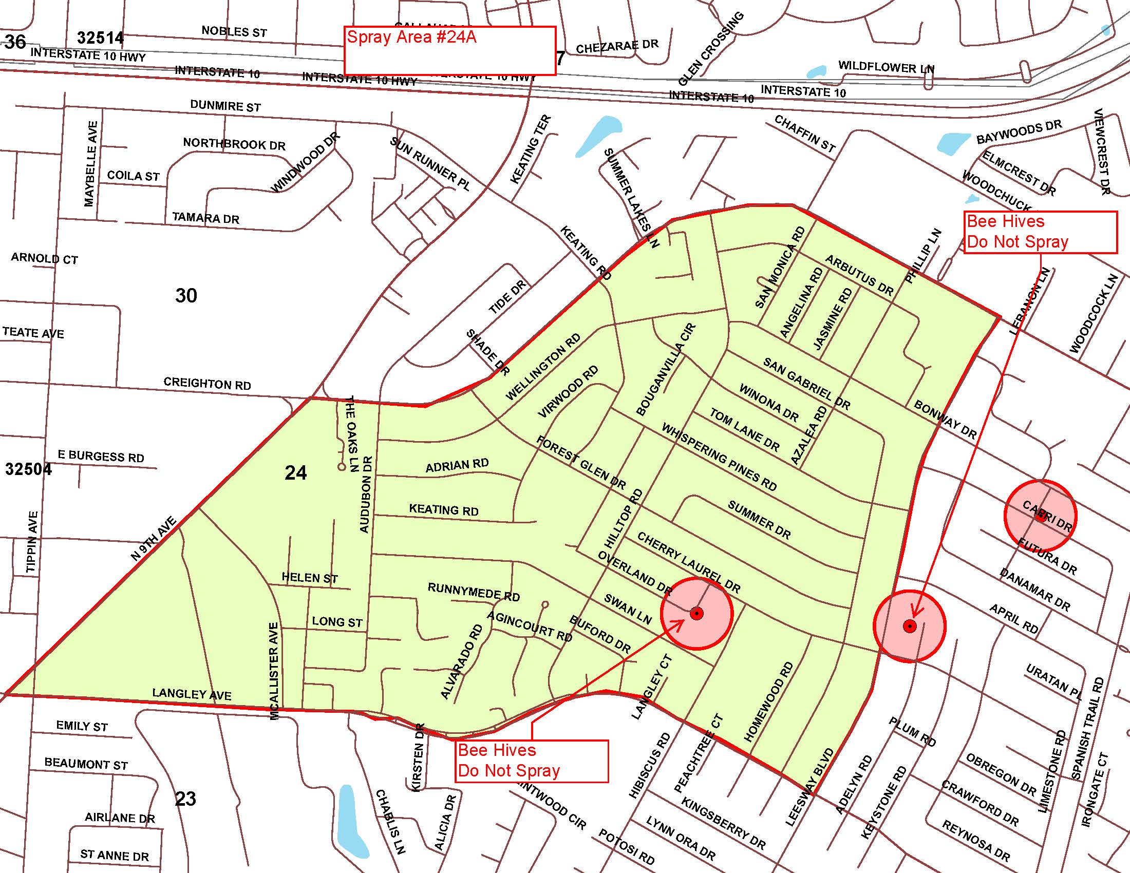
Spray Area 24A Map

Spray Area Map 24B is bound to the north by Creighton Road, to the south by Langley Avenue, to the east by Scenic Highway, and to the west by North Ninth Avenue.

Spray Area 37A Map

Spray Area 37A Map

Visit Us on Social Media

Escambia Countuy Logo

The mission of Escambia County government is to provide efficient, responsive services that enhance our quality of life, meet common needs and promote a safe and healthy community.

Under Florida law, IP addresses and both the content of emails and email addresses are public records. If you do not want your IP address and the content of your email or your email address released in response to a public records request, do not send electronic mail to this entity. Instead, contact this office by phone or in person.

All content © 2026 Escambia County, FL and its representatives. All rights reserved.